21 Denton Street, Collie, WA 6225
Sold Price Not Disclosed (16 Mar 2026)
Great starter or project home.
The Phone Code for this property is: 46734. Please quote this number when phoning or texting.
Looking for a home with good bones, all structural works complete but needs some TLC? Look no further.
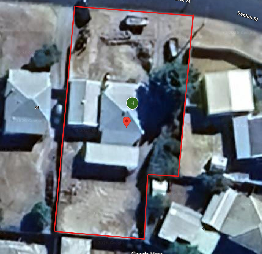
Situated on 884m2 block, all sides cleared with a clean slate for the next owner. The following features are on offer :
- New stumps 2024
- LHS access - gravel driveway
- New plumbing from mains and throughout 2025
- Completely rewired 2025
- New lighting & fans 2025
- New split system installed 2025
- Powered 6x9 Colorbond shed with electric roller doors.
Main bedroom
Kids Bedroom
2 x enclosed sleep outs used as bedrooms
Open plan kitchen & loungeroom
Property being sold in an as is condition.
Bathroom currently uncertified due to renovations when restumping, current certification turn around is over 2 months from approvals. Price reflects this.
Buyers Note: All measurements/dollar amounts are approximate only and generally marked with an * (Asterix) for reference. Boundaries marked on images are a guideline and are for visual purposes only. Buyers should complete their own due diligence, including a visual inspection before entering into an offer and should not rely on the photos or text in this advertising in making a purchasing decision.
Disclaimer:
Whilst every care has been taken to verify the accuracy of the details in this advertisement, For Sale By Owner Pty Ltd (forsalebyowner.com.au) cannot guarantee its correctness. Prospective buyers or tenants need to take such action as is necessary, to satisfy themselves of any pertinent matters.
Looking for a home with good bones, all structural works complete but needs some TLC? Look no further.
Situated on 884m2 block, all sides cleared with a clean slate for the next owner. The following features are on offer :
- New stumps 2024
- LHS access - gravel driveway
- New plumbing from mains and throughout 2025
- Completely rewired 2025
- New lighting & fans 2025
- New split system installed 2025
- Powered 6x9 Colorbond shed with electric roller doors.
Main bedroom
Kids Bedroom
2 x enclosed sleep outs used as bedrooms
Open plan kitchen & loungeroom
Property being sold in an as is condition.
Bathroom currently uncertified due to renovations when restumping, current certification turn around is over 2 months from approvals. Price reflects this.
Buyers Note: All measurements/dollar amounts are approximate only and generally marked with an * (Asterix) for reference. Boundaries marked on images are a guideline and are for visual purposes only. Buyers should complete their own due diligence, including a visual inspection before entering into an offer and should not rely on the photos or text in this advertising in making a purchasing decision.
Disclaimer:
Whilst every care has been taken to verify the accuracy of the details in this advertisement, For Sale By Owner Pty Ltd (forsalebyowner.com.au) cannot guarantee its correctness. Prospective buyers or tenants need to take such action as is necessary, to satisfy themselves of any pertinent matters.
Features
Fireplace(s), Pet Friendly, Close to Schools, Close to Shops, Quiet Location, Non Smoking, Air Conditioning, Remote Garage, Workshop
Need a Home Loan?
Get pre-approved for a home loan within 48 hours. Click Here or more information.
- Last 24 Hours0
- Last 7 Days1
- Last 30 Days1
Views
Contact the Owner
Phone or Text: 0488 847 018
Enter Phone Code: 46734
Enter Phone Code: 46734
"*" indicates required fields