53 Fifth Avenue, Rossmoyne, WA 6148
Sold Price Not Disclosed (10 Jul 2023)
#SOLD for #CASH by #KONGWAIREALESTATE
100% #SOLD, MORE PROPERTIES WANTED! CALL #KONGWAIREALESTATE!!
Ever wanting to design your own custom build home in the affluent riverside suburb of Rossmoyne? Here is your chance to secure this wide frontage standalone 480m2 or 464m2 block in which your family will have an amazing lifestyle to cherish for many years ahead.
Located in Western Australia's top public school catchment area and just steps away to shops, schools and river foreshore, this is just the ideal home you have been waiting for.
The block:
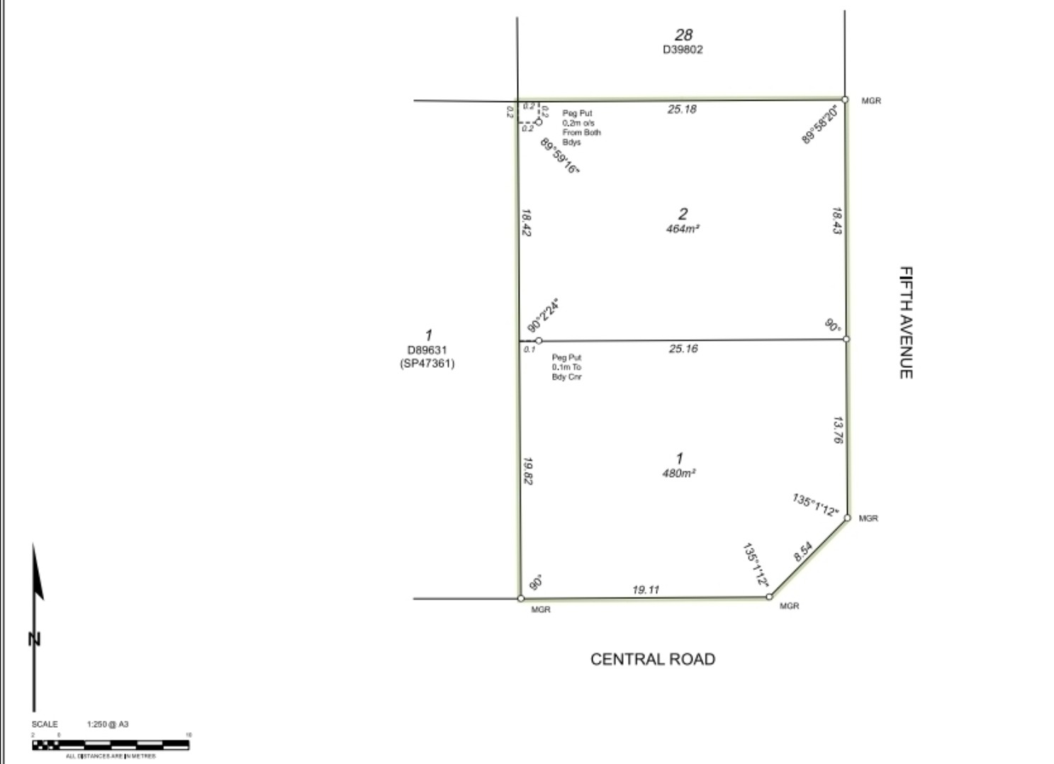
#88 (Lot 1) Central Road, Rossmoyne
✅ Street Front Land 480m2
✅ Super wide 19+m frontage / 25.16m rear width
✅ South Facing
✅ Double Prosperity "No. 88".
✅ #SOLD for #CASH BY #KONGWAIREALESTATE
#53 (Lot 2) Fifth Avenue, Rossmoyne
✅ Street Front Land 464m2
✅ Super wide 18.43m frontage
✅ East Facing
✅ #SOLD for #CASH BY #KONGWAIREALESTATE
The Location:
✅ 450m Tucker Fresh IGA / Australia Post / Flames Restaurant / Rossmoyne Chinese Restaurant / Boab Bakery on Central / Bottle O Liquor Store / Rossmoyne Park / Rossmoyne Bowling Club
✅ 550m Rossmoyne Kindergarden
✅ 750m Shelley Beach Park / Canning River
✅ 800m Rossmoyne Primary
✅ 1.1km Rossmoyne Senior High
✅ 1.9km All Saints College
✅ 5.8km Curtin University / Murdoch University
✅ 6.1km Westfield Booragoon
✅ 6.3km Fiona Stanley / Murdoch St John of God Hospital
✅ 6.6km Waterford Plaza
We can organise customise design for your dream home with:
(1) Single storey 4 beds 2 baths 2 car garage house and land From $1,250,000*
(2) Double Storey 4 beds 2 baths 2 car garage house and land From $1,450,000*
* final price depending on specifications and design
** Photos of property are for illustration purposes only and are not a reflection of the actual home to be built
*** Land Titles expected around Mid June 2023
Call now to secure your preferred block of land to build your family's dream home.
The Phone Code for this property is: 38456. Please quote this number when phoning or texting.
Disclaimer:
Whilst every care has been taken to verify the accuracy of the details in this advertisement, For Sale By Owner (forsalebyowner.com.au Pty Ltd) cannot guarantee its correctness. Prospective buyers or tenants need to take such action as is necessary, to satisfy themselves of any pertinent matters.
Ever wanting to design your own custom build home in the affluent riverside suburb of Rossmoyne? Here is your chance to secure this wide frontage standalone 480m2 or 464m2 block in which your family will have an amazing lifestyle to cherish for many years ahead.
Located in Western Australia's top public school catchment area and just steps away to shops, schools and river foreshore, this is just the ideal home you have been waiting for.
The block:
#88 (Lot 1) Central Road, Rossmoyne
✅ Street Front Land 480m2
✅ Super wide 19+m frontage / 25.16m rear width
✅ South Facing
✅ Double Prosperity "No. 88".
✅ #SOLD for #CASH BY #KONGWAIREALESTATE
#53 (Lot 2) Fifth Avenue, Rossmoyne
✅ Street Front Land 464m2
✅ Super wide 18.43m frontage
✅ East Facing
✅ #SOLD for #CASH BY #KONGWAIREALESTATE
The Location:
✅ 450m Tucker Fresh IGA / Australia Post / Flames Restaurant / Rossmoyne Chinese Restaurant / Boab Bakery on Central / Bottle O Liquor Store / Rossmoyne Park / Rossmoyne Bowling Club
✅ 550m Rossmoyne Kindergarden
✅ 750m Shelley Beach Park / Canning River
✅ 800m Rossmoyne Primary
✅ 1.1km Rossmoyne Senior High
✅ 1.9km All Saints College
✅ 5.8km Curtin University / Murdoch University
✅ 6.1km Westfield Booragoon
✅ 6.3km Fiona Stanley / Murdoch St John of God Hospital
✅ 6.6km Waterford Plaza
We can organise customise design for your dream home with:
(1) Single storey 4 beds 2 baths 2 car garage house and land From $1,250,000*
(2) Double Storey 4 beds 2 baths 2 car garage house and land From $1,450,000*
* final price depending on specifications and design
** Photos of property are for illustration purposes only and are not a reflection of the actual home to be built
*** Land Titles expected around Mid June 2023
Call now to secure your preferred block of land to build your family's dream home.
The Phone Code for this property is: 38456. Please quote this number when phoning or texting.
Disclaimer:
Whilst every care has been taken to verify the accuracy of the details in this advertisement, For Sale By Owner (forsalebyowner.com.au Pty Ltd) cannot guarantee its correctness. Prospective buyers or tenants need to take such action as is necessary, to satisfy themselves of any pertinent matters.
Need a Home Loan?
Get pre-approved for a home loan within 48 hours. Click Here or more information.
- Last 24 Hours0
- Last 7 Days2
- Last 30 Days3
Views
Contact the Owner
Phone or Text: 0488 847 018
Enter Phone Code: 38456
Enter Phone Code: 38456
"*" indicates required fields