6A Howard St, Bowen, QLD 4805
Sold Price Not Disclosed (27 May 2022)
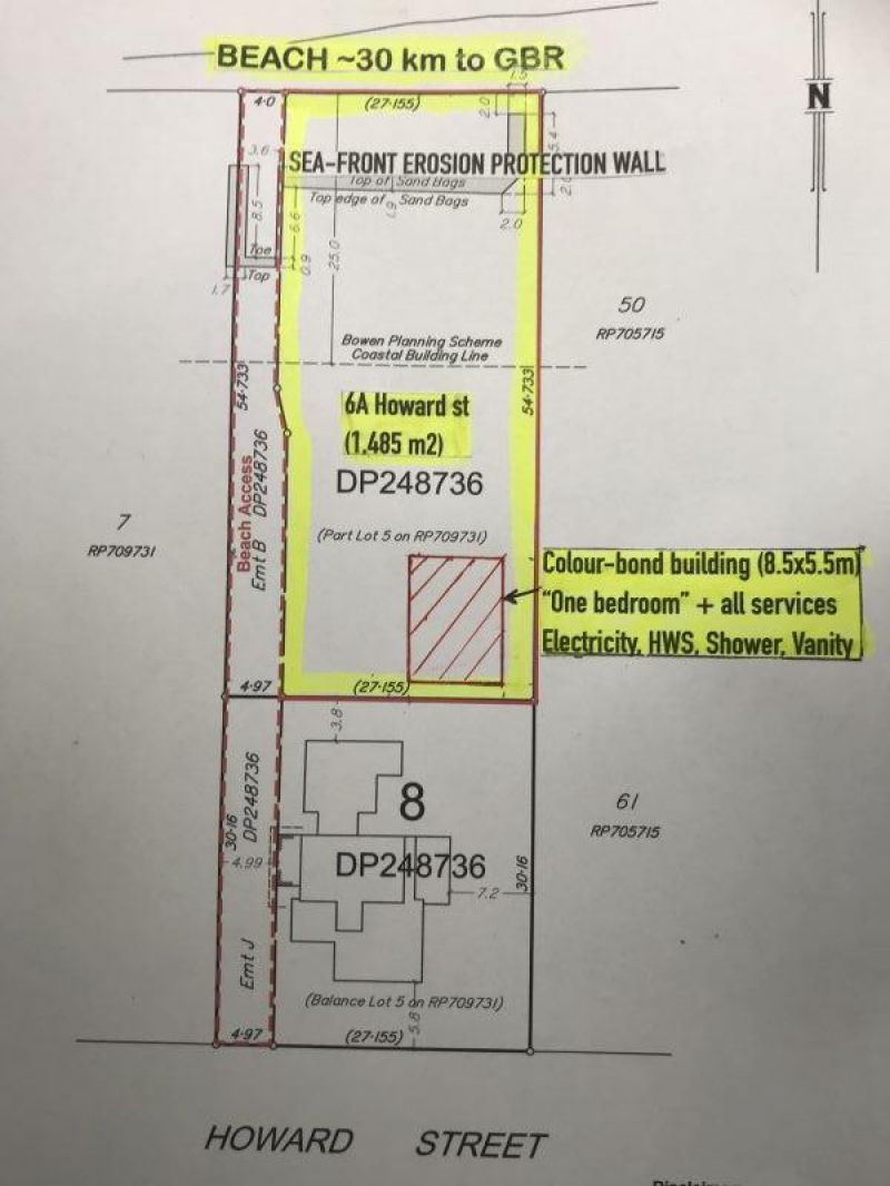
Absolute Beachfront with Boat Ramp, Sandy Beach & One Bedroom ~9x~6m Colourbond shed fully serviced Principal Residence
The Phone Code for this property is: 75993. Please quote this number when phoning or texting.
This ~1485 m2 of authentic absolute waterfront title, with your own private sandy beach & approved Seawall & concrete boat ramp, is offered after owning it for ~ 20 years.
Although with a WRC DA approval to build a low set colonial style house (with a huge veranda, as either a 256m2 4 b/r house or a reduced size 152 m2 3 b/r with certified engineering structural plans per attached), I am currently residing (before any future building commencement) in the "one bedroom" 5.5m x 8.5m colour-bond Council approved building (~$65k), shown on the rear corner of the attached block layout.
This is fully serviced (underground electricity, HWS, shower, toilet, vanity & bore water pump: ~$65k) & a separate (registered) 2 x double bed caravan (~$15k) with A/C, is also included.
This is perhaps ideally suited to city or rural retirees, or maybe for a "COVID escapee", to enjoy a warm Whitsunday paradise with mild sea breezes & fishing 30k from the Great Barrier Reef.
An amazing & unique opportunity to secure probably the last real private Sandy beach & boat ramp sea frontage in the "Whitsundays". The beautiful Bowen seaside golf course is also within easy walking distance, just around the corner.
Disclaimer:
Whilst every care has been taken to verify the accuracy of the details in this advertisement, For Sale By Owner (forsalebyowner.com.au Pty Ltd) cannot guarantee its correctness. Prospective buyers or tenants need to take such action as is necessary, to satisfy themselves of any pertinent matters.
This ~1485 m2 of authentic absolute waterfront title, with your own private sandy beach & approved Seawall & concrete boat ramp, is offered after owning it for ~ 20 years.
Although with a WRC DA approval to build a low set colonial style house (with a huge veranda, as either a 256m2 4 b/r house or a reduced size 152 m2 3 b/r with certified engineering structural plans per attached), I am currently residing (before any future building commencement) in the "one bedroom" 5.5m x 8.5m colour-bond Council approved building (~$65k), shown on the rear corner of the attached block layout.
This is fully serviced (underground electricity, HWS, shower, toilet, vanity & bore water pump: ~$65k) & a separate (registered) 2 x double bed caravan (~$15k) with A/C, is also included.
This is perhaps ideally suited to city or rural retirees, or maybe for a "COVID escapee", to enjoy a warm Whitsunday paradise with mild sea breezes & fishing 30k from the Great Barrier Reef.
An amazing & unique opportunity to secure probably the last real private Sandy beach & boat ramp sea frontage in the "Whitsundays". The beautiful Bowen seaside golf course is also within easy walking distance, just around the corner.
Disclaimer:
Whilst every care has been taken to verify the accuracy of the details in this advertisement, For Sale By Owner (forsalebyowner.com.au Pty Ltd) cannot guarantee its correctness. Prospective buyers or tenants need to take such action as is necessary, to satisfy themselves of any pertinent matters.
Need a Home Loan?
Get pre-approved for a home loan within 48 hours. Click Here or more information.
- Last 24 Hours0
- Last 7 Days0
- Last 30 Days0
Views
Contact the Owner
Phone or Text: 0488 847 018
Enter Phone Code: 75993
Enter Phone Code: 75993
"*" indicates required fields