7 Lady Tyree Place, Braemar, NSW 2575
Price: Expressions of interest
INDUSTRIAL LAND REGISTERED READY TO GO
LAND LAND LAND
Industrial Land -
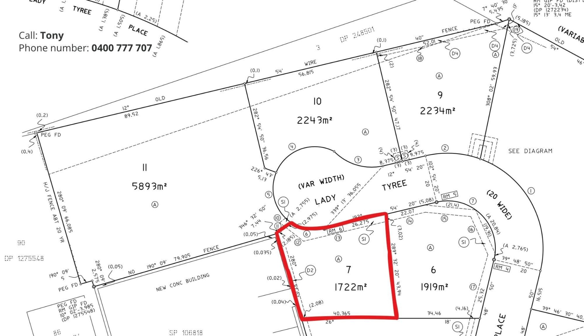
Lot 5 Lady Tyree Place Braemar
Lot 5 - 1,947 sqm
(Concept drawings available)
Great for Small to Medium Developers
or owner operator.
Easy Block
Key Features:
• Registered, flat land - easy to build.
• Regular shape with no corner set back losses.
• Fully serviced: NBN, power, sewer and water.
• No excess fill issues.
• Surrounded by Bunnings, Irelands Machinery and other major operators.
Why Lot 5 Stands Out:
• Prime position at the gateway to the Southern Highlands.
• Direct 24-hour access to the Hume Highway north and south.
• Located in the busy Braemar commercial and industrial precinct, drawing high traffic from neighbouring retail and trade businesses.
• Conveniently close to Mittagong rail station (approx. 3.5 km) and Bowral town centre (approx. 7 km).
Strategic Location:
• 77 km* to Liverpool CBD.
• 60 km* to Campbelltown.
With registered industrial land increasingly scarce in NSW, this block is a rare find in one of the fastest-growing areas of the Southern Highlands.
Outlines on images are indicative only. Refer to contract for actual drawings.
EXPRESSIONS OF INTEREST
The Phone Code for this property is: 11185. Please quote this number when phoning or texting.
Disclaimer:
Whilst every care has been taken to verify the accuracy of the details in this advertisement, For Sale By Owner (forsalebyowner.com.au Pty Ltd) cannot guarantee its correctness. Prospective buyers or tenants need to take such action as is necessary, to satisfy themselves of any pertinent matters..
Industrial Land -
Lot 5 Lady Tyree Place Braemar
Lot 5 - 1,947 sqm
(Concept drawings available)
Great for Small to Medium Developers
or owner operator.
Easy Block
Key Features:
• Registered, flat land - easy to build.
• Regular shape with no corner set back losses.
• Fully serviced: NBN, power, sewer and water.
• No excess fill issues.
• Surrounded by Bunnings, Irelands Machinery and other major operators.
Why Lot 5 Stands Out:
• Prime position at the gateway to the Southern Highlands.
• Direct 24-hour access to the Hume Highway north and south.
• Located in the busy Braemar commercial and industrial precinct, drawing high traffic from neighbouring retail and trade businesses.
• Conveniently close to Mittagong rail station (approx. 3.5 km) and Bowral town centre (approx. 7 km).
Strategic Location:
• 77 km* to Liverpool CBD.
• 60 km* to Campbelltown.
With registered industrial land increasingly scarce in NSW, this block is a rare find in one of the fastest-growing areas of the Southern Highlands.
Outlines on images are indicative only. Refer to contract for actual drawings.
EXPRESSIONS OF INTEREST
The Phone Code for this property is: 11185. Please quote this number when phoning or texting.
Disclaimer:
Whilst every care has been taken to verify the accuracy of the details in this advertisement, For Sale By Owner (forsalebyowner.com.au Pty Ltd) cannot guarantee its correctness. Prospective buyers or tenants need to take such action as is necessary, to satisfy themselves of any pertinent matters..
- Last 24 Hours0
- Last 7 Days5
- Last 30 Days18
Views
Contact the Owner
Phone or Text: 0488 847 018
Enter Phone Code: 11185
Enter Phone Code: 11185
"*" indicates required fields