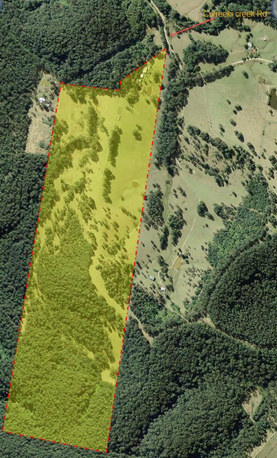
161 Curreeki Creek Rd, Coolongolook, NSW 2423
Sold Price: 1,395,000 (06 Mar 2023)
Virtual Tour
HOBBY FARM AND LIFE STYLE AND INCOME
The Phone Code for this property is: 10908. Please quote this number when phoning or texting.
This wonderful rural property is nestled in the hills of the Coolongolook hinterland.
It offers various lifestyle and income opportunities, giving privacy and freedom while remaining easily accessible to Newcastle, Forster and Taree.
While able to be a working farm and home it is the park like appearance and features that make this property stand out.
More videos at chanel Rhalex on Youtube.
Inspection by appointment always available
Main House
Large L shaped Lounge/Dining area with combustion heater and reverse cycle a/c
Modern kitchen with electric cooker and dishwasher
Main bedroom with new ensuite and built-in mirror robes
Two large bedrooms with built in robes. Fourth bedroom or study
Large main bathroom , with separate toilet. Large laundry with new off peak hot water and external door.
Full length verandah front and back. And Vinyl plank flooring throughout
High speed reliable NBN wireless internet, Good mobile and TV reception.
10 metre in ground swimming pool with solar heating
Separate Granny flat.
Two bedrooms
Combined kitchen, dining, lounge
Bathroom and toilet.
Currently used as artist's studio.
External toilet and saddle Store
Large Workshop
3 bay garage
Heritage 4 bay horse stable and chook shed.
Large spring fed dam with pump to garden hose system
10,000 and 5000 gallon water tanks
50 metre horse training area
4 bay Farm shed with 5000 gallon tank
Cattle yards and loading ramp
45H fenced paddocks - 40H Cleared, 5H lightly wooded - 10 Dams
6 paddocks with 6ft deer fence and central lane, total 27.5H plus two large paddocks with standard fencing
Has been used as a deer farm, also good for goats.
Ideal for cattle and horses
A mixture of flat and undulating country
Currently running 35 cows and steers, 6 horses and 3 deer
Riding/walking trails throughout
Ephemeral Creek - Normally runs for half the year
Backs on to Wang Wauk State Forest -access to Trails
15 minutes to Nabiac and Bulahdelah
30 minutes to Forster and Taree
75 minutes to Newcastle
2.5 hours to Sydney.
Disclaimer:
Whilst every care has been taken to verify the accuracy of the details in this advertisement, For Sale By Owner (forsalebyowner.com.au Pty Ltd) cannot guarantee its correctness. Prospective buyers or tenants need to take such action as is necessary, to satisfy themselves of any pertinent matters.
This wonderful rural property is nestled in the hills of the Coolongolook hinterland.
It offers various lifestyle and income opportunities, giving privacy and freedom while remaining easily accessible to Newcastle, Forster and Taree.
While able to be a working farm and home it is the park like appearance and features that make this property stand out.
More videos at chanel Rhalex on Youtube.
Inspection by appointment always available
Main House
Large L shaped Lounge/Dining area with combustion heater and reverse cycle a/c
Modern kitchen with electric cooker and dishwasher
Main bedroom with new ensuite and built-in mirror robes
Two large bedrooms with built in robes. Fourth bedroom or study
Large main bathroom , with separate toilet. Large laundry with new off peak hot water and external door.
Full length verandah front and back. And Vinyl plank flooring throughout
High speed reliable NBN wireless internet, Good mobile and TV reception.
10 metre in ground swimming pool with solar heating
Separate Granny flat.
Two bedrooms
Combined kitchen, dining, lounge
Bathroom and toilet.
Currently used as artist's studio.
External toilet and saddle Store
Large Workshop
3 bay garage
Heritage 4 bay horse stable and chook shed.
Large spring fed dam with pump to garden hose system
10,000 and 5000 gallon water tanks
50 metre horse training area
4 bay Farm shed with 5000 gallon tank
Cattle yards and loading ramp
45H fenced paddocks - 40H Cleared, 5H lightly wooded - 10 Dams
6 paddocks with 6ft deer fence and central lane, total 27.5H plus two large paddocks with standard fencing
Has been used as a deer farm, also good for goats.
Ideal for cattle and horses
A mixture of flat and undulating country
Currently running 35 cows and steers, 6 horses and 3 deer
Riding/walking trails throughout
Ephemeral Creek - Normally runs for half the year
Backs on to Wang Wauk State Forest -access to Trails
15 minutes to Nabiac and Bulahdelah
30 minutes to Forster and Taree
75 minutes to Newcastle
2.5 hours to Sydney.
Disclaimer:
Whilst every care has been taken to verify the accuracy of the details in this advertisement, For Sale By Owner (forsalebyowner.com.au Pty Ltd) cannot guarantee its correctness. Prospective buyers or tenants need to take such action as is necessary, to satisfy themselves of any pertinent matters.
Features
Air Conditioning, Broadband, Built-ins, Dishwasher, Ensuite, Swimming/Lap Pool
Need a Home Loan?
Get pre-approved for a home loan within 48 hours. Click Here or more information.
- Last 24 Hours0
- Last 7 Days1
- Last 30 Days3
Views
Contact the Owner
Phone or Text: 0488 847 018
Enter Phone Code: 10908
Enter Phone Code: 10908
"*" indicates required fields