2635 Eukey Road, Ballandean, QLD 4382
Sold Price Not Disclosed (22 Aug 2022)
A Stanthorpe Getaway
The Phone Code for this property is: 19411. Please quote this number when phoning or texting.
Lifestyle Change: A Stanthorpe Getaway
A unique opportunity to own a property with an eclectic mix of buildings, which already has an established income and is situated in the heart of QLD wine country. and only minutes from Stanthorpe. A country lifestyle plus income for less than you ever thought possible.
We are 2.5 Hours from Brisbane, 3 Hours to Byron Bay, 4 Hours from the Gold and Sunshine Coast
The property comprises James Farmhouse, Namar Yurt, Zuny Yurt, Rose Cottage and the owner's residence, which is a 2-storey Yurt. If you want to increase your income you can add the owner's Yurt as a fifth accommodation, thereby increasing your returns
This is a very reluctant sale due to health reasons
$1,350.000
Income 12%
Booking: 62 %
You don't have to work 24/7 for this income
Stanthorpe Getaway is located in Queensland in the Granite Belt wine region, which is a tourist mecca for work weary Queenslanders wishing to enjoy the Wineries and National Parks. With comparisons now being made to other wine areas of Australia, investing in the Stanthorpe area is a savvy move, with more than 50 Wineries and 4 National Parks within 30 minutes. Stanthorpe Getaway is a number one tourist business with absolutely nothing to do to earn an income. The business is in place, the repeat visitation are extraordinary, and the staff are there to continue providing consistency of service. Stanthorpe Getaway has an enviable reputation as one of the leading accommodation venues in the region.
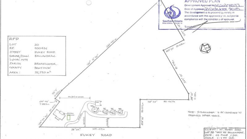
The land area is 6.54 acres. There is a BA approval in place to add an extra building and the land size offers an exciting opportunity for you to plant your own Vineyard and build a Cellar Door
James Farmhouse
Built in the 50s and renovated by the current owner, The Farmhouse sleeps 14 people and has a large loungeroom with log fire, r/c air con, 5 sleeping areas, spacious dining room with log fire, kitchen with an original old wood burning stove plus modern gas oven. 2 bathroom, 3 toilets, a covered front entertainment area, plus 3 entertaining areas at the back of the house, one including a family size BBQ
Rose Cottage
Was originally a workers Cottage and has been fully renovated. Rose Cottage is a studio style which sleeps 2 people, has an open log fire, Queen size bed, separate bathroom, r/c air con, lounge area, kitchenette and a covered front area with a BBQ
Namar and Zuny Yurt
Built in 2017 by the current owner they are 8 sided buildings with the WOW factor.
Each sleep 4 people, have a lounge room with log fire, r/c aircon, separate bedroom, bathroom & toilet, open plan lounge area with a kitchenette, high ceilings that have coloured glass panels and are fully insulated with thermal glass windows
Owner Residence
Built by current owner in 2017 and is a double storey 10-sided Yurt with gives spectacular views of a local vineyard and surrounding countryside from the deck on the upper level. The top floor is an open plan lounge room with log fire, kitchen, 2nd toilet and has high ceilings with coloured glass panels. The lower floor has 2 bedrooms, bathroom, toilet, laundry, office (which can be converted to a third bedroom if required) and is fully insulated with thermal glass windows.
• All fixtures and fitting are included in the price
• Double Car Garage 7mx7m
• 6 Water Tanks
• 5.5 KW solar system installed 2019
• Water Bore ready, drilled, and tested
• Led external light system in place
• Web site and booking engines
• Established Social media Platforms
• Domain Name
• Fully Landscaped
• Six figure income
• Linen & storage shed
• AirBnB super host
• Booking.com 9.5
• Expedia, Vrbo, Home Away and all Expedia Booking sites
We Licenced for Rural Tourism, short term rental with
the the Southern Downs Council
More information will be made available to interested Parties if required. There are several property management companies in Stanthorpe.
We are limited to 35 photos check so our booking web site for more photos.
Disclaimer:
Whilst every care has been taken to verify the accuracy of the details in this advertisement, For Sale By Owner (forsalebyowner.com.au Pty Ltd) cannot guarantee its correctness. Prospective buyers or tenants need to take such action as is necessary, to satisfy themselves of any pertinent matters.
Lifestyle Change: A Stanthorpe Getaway
A unique opportunity to own a property with an eclectic mix of buildings, which already has an established income and is situated in the heart of QLD wine country. and only minutes from Stanthorpe. A country lifestyle plus income for less than you ever thought possible.
We are 2.5 Hours from Brisbane, 3 Hours to Byron Bay, 4 Hours from the Gold and Sunshine Coast
The property comprises James Farmhouse, Namar Yurt, Zuny Yurt, Rose Cottage and the owner's residence, which is a 2-storey Yurt. If you want to increase your income you can add the owner's Yurt as a fifth accommodation, thereby increasing your returns
This is a very reluctant sale due to health reasons
$1,350.000
Income 12%
Booking: 62 %
You don't have to work 24/7 for this income
Stanthorpe Getaway is located in Queensland in the Granite Belt wine region, which is a tourist mecca for work weary Queenslanders wishing to enjoy the Wineries and National Parks. With comparisons now being made to other wine areas of Australia, investing in the Stanthorpe area is a savvy move, with more than 50 Wineries and 4 National Parks within 30 minutes. Stanthorpe Getaway is a number one tourist business with absolutely nothing to do to earn an income. The business is in place, the repeat visitation are extraordinary, and the staff are there to continue providing consistency of service. Stanthorpe Getaway has an enviable reputation as one of the leading accommodation venues in the region.
The land area is 6.54 acres. There is a BA approval in place to add an extra building and the land size offers an exciting opportunity for you to plant your own Vineyard and build a Cellar Door
James Farmhouse
Built in the 50s and renovated by the current owner, The Farmhouse sleeps 14 people and has a large loungeroom with log fire, r/c air con, 5 sleeping areas, spacious dining room with log fire, kitchen with an original old wood burning stove plus modern gas oven. 2 bathroom, 3 toilets, a covered front entertainment area, plus 3 entertaining areas at the back of the house, one including a family size BBQ
Rose Cottage
Was originally a workers Cottage and has been fully renovated. Rose Cottage is a studio style which sleeps 2 people, has an open log fire, Queen size bed, separate bathroom, r/c air con, lounge area, kitchenette and a covered front area with a BBQ
Namar and Zuny Yurt
Built in 2017 by the current owner they are 8 sided buildings with the WOW factor.
Each sleep 4 people, have a lounge room with log fire, r/c aircon, separate bedroom, bathroom & toilet, open plan lounge area with a kitchenette, high ceilings that have coloured glass panels and are fully insulated with thermal glass windows
Owner Residence
Built by current owner in 2017 and is a double storey 10-sided Yurt with gives spectacular views of a local vineyard and surrounding countryside from the deck on the upper level. The top floor is an open plan lounge room with log fire, kitchen, 2nd toilet and has high ceilings with coloured glass panels. The lower floor has 2 bedrooms, bathroom, toilet, laundry, office (which can be converted to a third bedroom if required) and is fully insulated with thermal glass windows.
• All fixtures and fitting are included in the price
• Double Car Garage 7mx7m
• 6 Water Tanks
• 5.5 KW solar system installed 2019
• Water Bore ready, drilled, and tested
• Led external light system in place
• Web site and booking engines
• Established Social media Platforms
• Domain Name
• Fully Landscaped
• Six figure income
• Linen & storage shed
• AirBnB super host
• Booking.com 9.5
• Expedia, Vrbo, Home Away and all Expedia Booking sites
We Licenced for Rural Tourism, short term rental with
the the Southern Downs Council
More information will be made available to interested Parties if required. There are several property management companies in Stanthorpe.
We are limited to 35 photos check so our booking web site for more photos.
Disclaimer:
Whilst every care has been taken to verify the accuracy of the details in this advertisement, For Sale By Owner (forsalebyowner.com.au Pty Ltd) cannot guarantee its correctness. Prospective buyers or tenants need to take such action as is necessary, to satisfy themselves of any pertinent matters.
Features
Air Conditioning, Balcony/Patio/Terrace, Gas Enabled, Heating, Internal Bathroom, Kitchen, Polished Timber Floors, Reception/Show Room, Refurbished, Renovated, BBQ, Entertainment Area, Garden, Shower Facilities, Close to Parklands, Website Featured Property, Wireless Internet, Concierge/Manager, Quiet Location
- Last 24 Hours0
- Last 7 Days0
- Last 30 Days1
Views
Contact the Owner
Phone or Text: 0488 847 018
Enter Phone Code: 19411
Enter Phone Code: 19411
"*" indicates required fields