305 Main North Road, Clare, SA 5453
Price: $85,000 - $93,500
Workshop / Industrial Space for Lease
The Phone Code for this property is: 24891. Please quote this number when phoning or texting.
A well-constructed and versatile workshop / warehouse space available for lease in a prominent Clare location, suitable for a range of trade, light industrial or storage uses (STCC).
Key Features:
- Substantial workshop / warehouse area of approx. 725sqm
- Quality, modern construction, offering a functional working environment
- Zoned District Town Centre, allowing a variety of commercial and light industrial uses (subject to council consent)
- Excellent access with convenient vehicle movement
- High clearance workspace suitable for machinery, fabrication, storage or trade operations
- On-site amenities available
This workshop component forms part of a larger multi-tenancy building and is ideal for businesses seeking a practical, well-located industrial space in Clare's primary commercial precinct.
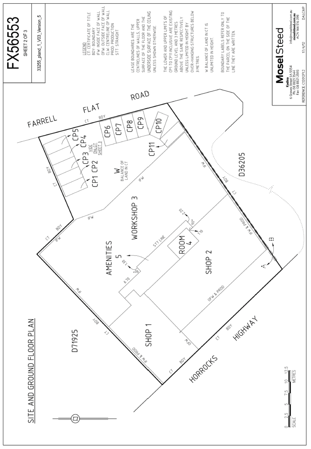
Note the property for lease is labelled "Workshop 3" and "W" (Carpark area) in the attached floor plan.
For further information or to arrange an inspection, please enquire on 0417667673.
Disclaimer:
Whilst every care has been taken to verify the accuracy of the details in this advertisement, For Sale By Owner Pty Ltd (forsalebyowner.com.au) cannot guarantee its correctness. Prospective buyers or tenants need to take such action as is necessary, to satisfy themselves of any pertinent matters.
A well-constructed and versatile workshop / warehouse space available for lease in a prominent Clare location, suitable for a range of trade, light industrial or storage uses (STCC).
Key Features:
- Substantial workshop / warehouse area of approx. 725sqm
- Quality, modern construction, offering a functional working environment
- Zoned District Town Centre, allowing a variety of commercial and light industrial uses (subject to council consent)
- Excellent access with convenient vehicle movement
- High clearance workspace suitable for machinery, fabrication, storage or trade operations
- On-site amenities available
This workshop component forms part of a larger multi-tenancy building and is ideal for businesses seeking a practical, well-located industrial space in Clare's primary commercial precinct.
Note the property for lease is labelled "Workshop 3" and "W" (Carpark area) in the attached floor plan.
For further information or to arrange an inspection, please enquire on 0417667673.
Disclaimer:
Whilst every care has been taken to verify the accuracy of the details in this advertisement, For Sale By Owner Pty Ltd (forsalebyowner.com.au) cannot guarantee its correctness. Prospective buyers or tenants need to take such action as is necessary, to satisfy themselves of any pertinent matters.
Contact Karen on 0438 838 018 at First Paige Property Settlement Services for help with your Real Estate paperwork (Form 1 & Contracts) or email if you have questions. admin@firstpaigeform1.com
Visit Website- Last 24 Hours1
- Last 7 Days1
- Last 30 Days13
Views
Contact the Owner
Phone or Text: 0488 847 018
Enter Phone Code: 24891
Enter Phone Code: 24891
"*" indicates required fields
