55 Hewletts Rd, Lockwood South, VIC 3551
Sold Price: 376,000 (06 Sep 2021)
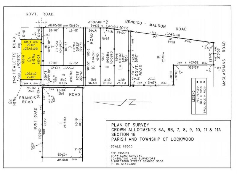
21 acres beautiful rural block 13 mins from Bendigo
Beautiful rural block 21 acres only 13 mins from Bendigo or 90 mins from Melbourne CDB. Lovely site, suit your forever home or awesome get away from the covid lockdown rat race. Lot 6A is 21 acres. This is zoned farming and building a house is subject to council approval. This involves engaging a private planner who can prepare a complying submission that can take 4-5 months and can cost between $6000- $9000.in fees as well as land capability assessment for location of septic etc. Section 32 available. This is from a deceased estate which means we can't consider conditional offers. The estate needs our unconditional offer of 30 60 or 90 days settlement. If you are looking for a block of land in Bendigo? or Looking for a block of land near bendigo? this could be it. Its only 13 mins from Aldi, KFC, Bunnings and Harvey Norman, but feels like a whole world away with the surrounding hills and tree.6 minute drive to the freeway to Melbourne all the way.
The Phone Code for this property is: 69527. Please quote this number when phoning or texting.
Disclaimer:
Whilst every care has been taken to verify the accuracy of the details in this advertisement, For Sale By Owner (forsalebyowner.com.au Pty Ltd) cannot guarantee its correctness. Prospective buyers or tenants need to take such action as is necessary, to satisfy themselves of any pertinent matters.
The Phone Code for this property is: 69527. Please quote this number when phoning or texting.
Disclaimer:
Whilst every care has been taken to verify the accuracy of the details in this advertisement, For Sale By Owner (forsalebyowner.com.au Pty Ltd) cannot guarantee its correctness. Prospective buyers or tenants need to take such action as is necessary, to satisfy themselves of any pertinent matters.
Due Diligence Checklist
Before you buy a home or vacant residential land, you should be aware of a range of issues that may affect that property and impose restrictions or obligations on you, if you buy it. Click Here to read more.
Need a Home Loan?
Get pre-approved for a home loan within 48 hours. Click Here or more information.
- Last 24 Hours0
- Last 7 Days0
- Last 30 Days0
Views
Contact the Owner
Phone or Text: 0488 847 018
Enter Phone Code: 69527
Enter Phone Code: 69527
"*" indicates required fields