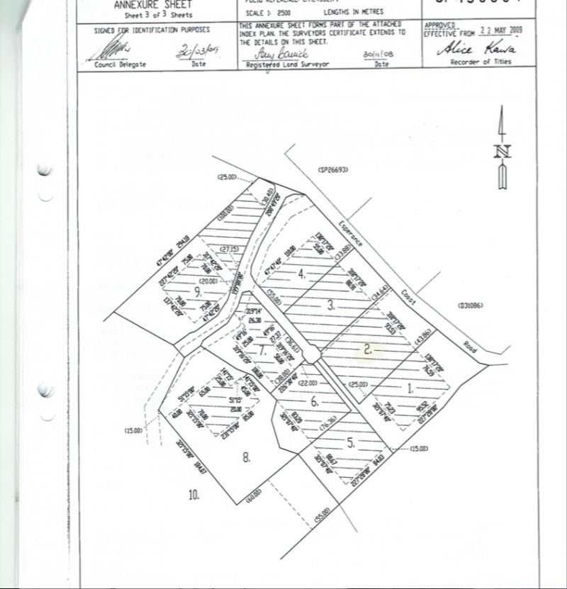
17 Stella Court, Surges Bay, TAS 7116
Sold Price: 210,000 (05 Feb 2018)
Quiet Rural Property With Breath Taking Water Views, Ready For You To Build Your Dream Home
Located at the end of a quiet sealed court in Surges Bay, you will find this hidden gem. With the already prepped house sight providing spectacular views over the Huon river, looking out to the west you have the breathtaking views of the snowy Hartz ranges.
If you are looking to purchase land?
This property is providing you with the easy way out, to starting your build as
all the hard work has been done.
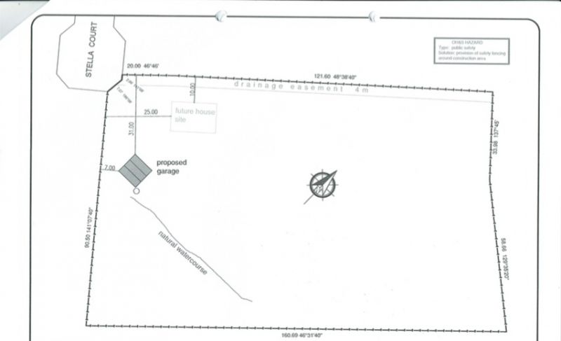
Whilst being ready to build the forever home you have been dreaming about, the land also offers you the luxury of an insulated shed that would be very easy to covert to live in while you build or even have as a weekender, leaving you the option of a blank canvase ready for you to figure out.
Fully Fenced with driveway access to the bottom of the gently sloping property that allows you to access all the land. A 6x 9 metre insulated shed on concrete slab and power with a very convenient awning out the front 30m away from the proposed house site. A 15,000 litre tank plumbed with pump.
A dam at the bottom of the property, also there is a beautiful section of natural bush land which allows the perfect privacy from adjoining property.
Properties like this one with breath taking water views, sealed access, Shed, Power, fully fenced, and a proposed house site are hard to come by. All the necessary permits have all been completed by council, shed, plumbing and also the building setbacks.
Located just a 15 min drive from Dover, 10 min from Geeveston. Just 50 mins south of Hobart you find this 3.5 acre semi-rural block that has spectacular views over the Huon River.
Disclaimer:
Whilst every care has been taken to verify the accuracy of the details in this advertisement, For Sale By Owner (forsalebyowner.com.au Pty Ltd) cannot guarantee its correctness. Prospective buyers or tenants need to take such action as is necessary, to satisfy themselves of any pertinent matters.
If you are looking to purchase land?
This property is providing you with the easy way out, to starting your build as
all the hard work has been done.
Whilst being ready to build the forever home you have been dreaming about, the land also offers you the luxury of an insulated shed that would be very easy to covert to live in while you build or even have as a weekender, leaving you the option of a blank canvase ready for you to figure out.
Fully Fenced with driveway access to the bottom of the gently sloping property that allows you to access all the land. A 6x 9 metre insulated shed on concrete slab and power with a very convenient awning out the front 30m away from the proposed house site. A 15,000 litre tank plumbed with pump.
A dam at the bottom of the property, also there is a beautiful section of natural bush land which allows the perfect privacy from adjoining property.
Properties like this one with breath taking water views, sealed access, Shed, Power, fully fenced, and a proposed house site are hard to come by. All the necessary permits have all been completed by council, shed, plumbing and also the building setbacks.
Located just a 15 min drive from Dover, 10 min from Geeveston. Just 50 mins south of Hobart you find this 3.5 acre semi-rural block that has spectacular views over the Huon River.
Disclaimer:
Whilst every care has been taken to verify the accuracy of the details in this advertisement, For Sale By Owner (forsalebyowner.com.au Pty Ltd) cannot guarantee its correctness. Prospective buyers or tenants need to take such action as is necessary, to satisfy themselves of any pertinent matters.
Need a Home Loan?
Get pre-approved for a home loan within 48 hours. Click Here or more information.
- Last 24 Hours0
- Last 7 Days1
- Last 30 Days3
Views
Contact the Owner
Phone or Text: 0488 847 018
Enter Phone Code:
Enter Phone Code:
"*" indicates required fields